• Al ruim 40 jaar thuis in de Hoeksche Waard
  • Lokale expertise
  • Uniek netwerk van kopers, verkopers en collega-makelaars
  • Twee kantoren in de Hoeksche Waard
  • Realistisch en eerlijk advies
  • Maatschappelijk betrokken door lokaal actief te zijn

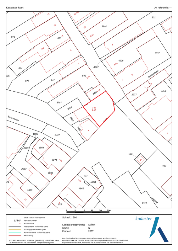
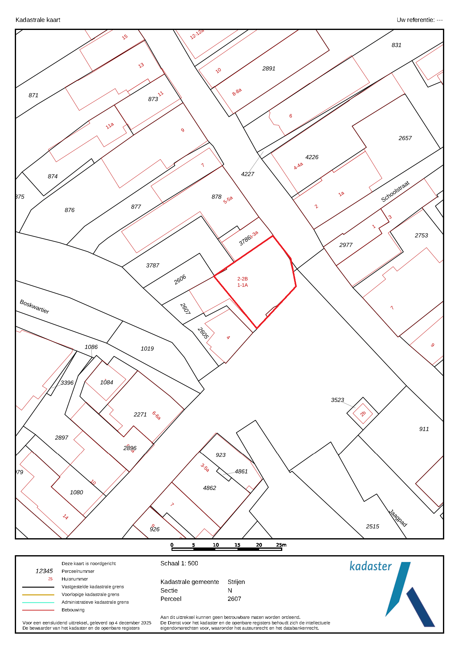
Strijen

Boompjesstraat 2

€ 479.500 K.K.

141 m²

2 Slaapkamers

Bovenwoning

Energielabel C

Geïnteresseerd in Boompjesstraat 2?

Vul onderstaand formulier in of plan online een bezichtiging