• Al ruim 40 jaar thuis in de Hoeksche Waard
  • Lokale expertise
  • Uniek netwerk van kopers, verkopers en collega-makelaars
  • Twee kantoren in de Hoeksche Waard
  • Realistisch en eerlijk advies
  • Maatschappelijk betrokken door lokaal actief te zijn

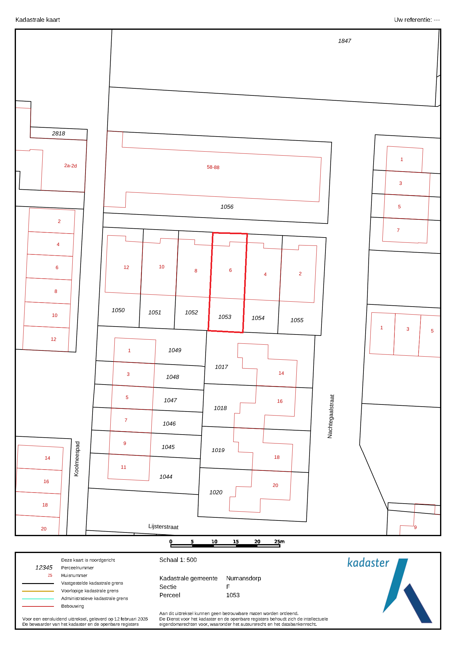
Numansdorp

Nachtegaalstraat 6

€ 450.000 K.K.
Nieuw!

95 m²

2 Slaapkamers

Eengezinswoning

Energielabel B

Geïnteresseerd in Nachtegaalstraat 6?

Vul onderstaand formulier in of plan online een bezichtiging