• Al ruim 40 jaar thuis in de Hoeksche Waard
  • Lokale expertise
  • Uniek netwerk van kopers, verkopers en collega-makelaars
  • Twee kantoren in de Hoeksche Waard
  • Realistisch en eerlijk advies
  • Maatschappelijk betrokken door lokaal actief te zijn

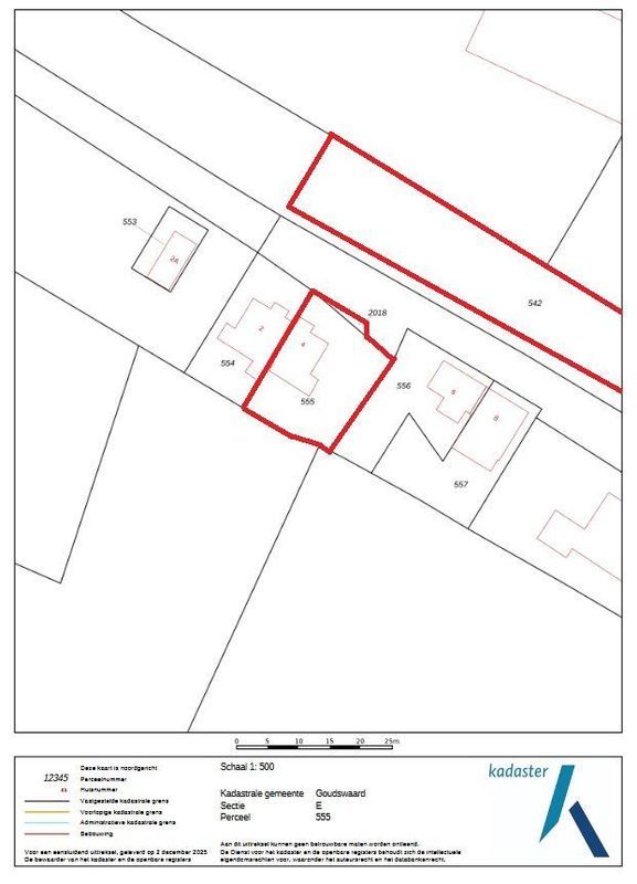
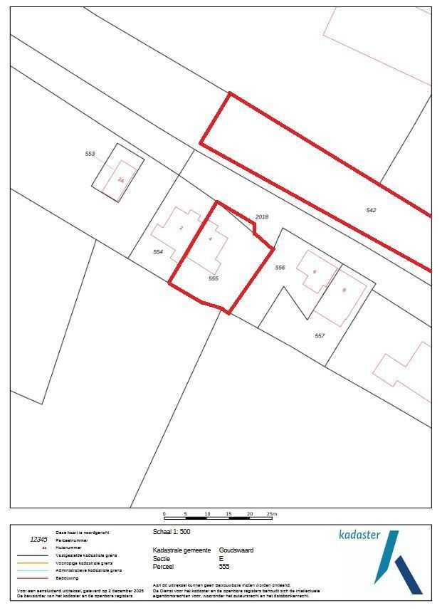
Goudswaard

Oudendijk 4

€ 549.000 K.K.

140 m²

3 Slaapkamers

Eengezinswoning

Energielabel A

Geïnteresseerd in Oudendijk 4?

Vul onderstaand formulier in of plan online een bezichtiging