• Al ruim 40 jaar thuis in de Hoeksche Waard
  • Lokale expertise
  • Uniek netwerk van kopers, verkopers en collega-makelaars
  • Twee kantoren in de Hoeksche Waard
  • Realistisch en eerlijk advies
  • Maatschappelijk betrokken door lokaal actief te zijn

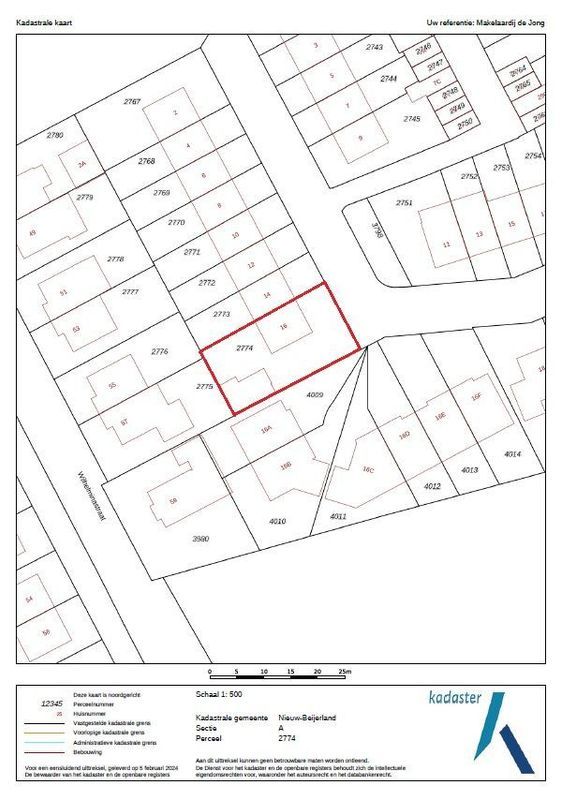
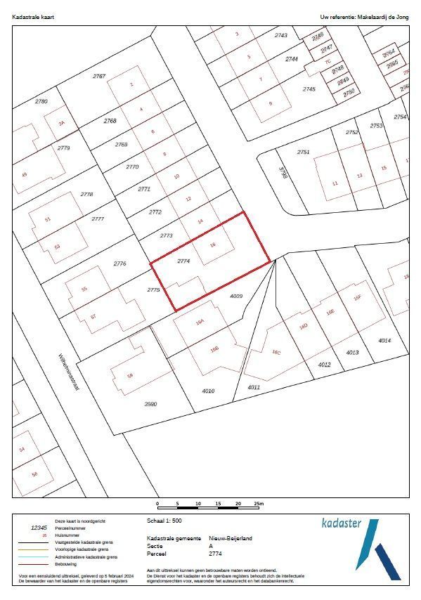
Nieuw-Beijerland

Ridder van Dorpstraat 16

€ 435.000 K.K.
Verkocht onder voorbehoud

109 m²

4 Slaapkamers

Eengezinswoning

Energielabel C

Geïnteresseerd in Ridder van Dorpstraat 16?

Vul onderstaand formulier in of plan online een bezichtiging